Racconti dell'aria
Sandro Zucchi, presidente dell’Automobile club, prende le difese del provvedimento dell’amministrazione
06 Giugno 2024 - 17:33
24 Febbraio 2026 - 12:14
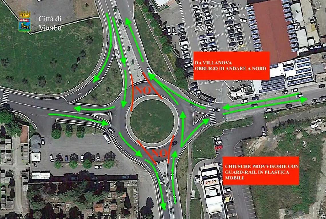
«L’Automobile Club Viterbo ha a cuore il benessere, gli interessi, degli automobilisti e dell’Ambiente, quindi, quando deve criticare è in prima linea a farlo, ma quando deve sottolineare l’impegno dell’amministrazione comunale o di altri soggetti pubblici lo fa in eguale modo». Così il presidente Sandro Zucchi. «Proprio in virtù di ciò - spiega - facciamo un plauso all’amministrazione Frontini e, in particolar modo, all’assessore Aronne per aver preso in mano e gestito la grave criticità del traffico nel quadrante nord della città (e ci auspichiamo che sia solo l’inizio di un piano di gestione del traffico più particolareggiato e articolato). L’aver affidato ad una società esperta del settore - aggiunge Zucchi - lo studio del traffico in entrata e in uscita della città è importante e fuga qualunque dubbio circa la reale volontà dell’amministrazione comunale di risolvere questi problemi. Infatti, l’aver gestito il flusso di veicoli in prossimità della rotonda di Villanova, nei pressi del Cimitero San Lazzaro, (sia pure in maniera sperimentale e a tempo), ha portato ad un significativo miglioramento della percorribilità delle strade e ad un contestuale abbattimento delle lunghe file, che la rotonda oggetto di contestazione stava creando - sostiene Zucchi -. C’è da dire, con tutta onestà, che la rotonda in questione non è stata progettata e realizzata da questa Amministrazione: anzi, fin dalla sua inaugurazione, è stata oggetto di contestazioni, data la presenza dei Centri Commerciali che hanno aggravato la situazione creando lunghe file, che sono state anche fonte di inquinamento. È propizia, dunque, l’occasione per raccomandare di continuare sia con il lavoro di asfaltatura delle strade cittadine, sia con l’installazione e la manutenzione della segnaletica orizzontale e verticale. Ribadiamo, infine, la nostra disponibilità a qualsiasi tipo di coinvolgimento, partecipazione, consiglio o suggerimento che questa amministrazione comunale riterrà necessaria», dice in conclusione il presidente dell’Automobile Club.
©RIPRODUZIONE RISERVATA
Edicola digitale
I più letti
Civonline.it
Dal 1999 il sito web di Civitavecchia e dell'alto Lazio Fondatore Massimiliano Grasso
Editore: EDITORIALE LA PROVINCIA Soc. Coop., c.f. 09106271001 - Reg. Tribunale di Civitavecchia n°14/05 - ISSN 2038-5005 Redazione: Via Annovazzi, 15 - 00053 Civitavecchia. Tel. 0766.503027 - Fax 0766.581316 - Direttore Responsabile ALESSANDRA ROSATI - Testata beneficiaria dei contributi per l'editoria L.250/90 e ss.mm. e ii.- Soggetto deputato al trattamento dei dati personali: Cristiana Mori - La riproduzione di tutti i contenuti del sito è vietata senza il consenso scritto dell'editore.